"Хелена" и "Милтон" могут войти в число самых разрушительных ураганов, убытки от которых превышают 50 млрд долларов
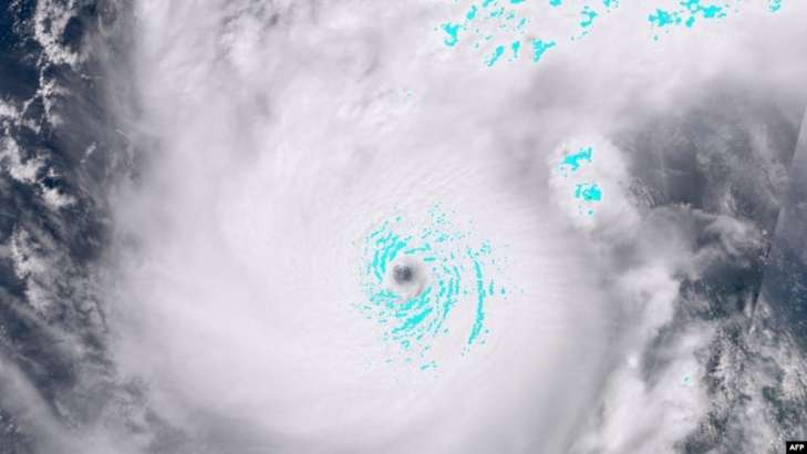
Фото: Спутниковый снимок урагана "Милтон", 7 октября 2024 года
Хотя точные подсчеты еще не завершены, ураганы "Хелена" и "Милтон" оказались столь разрушительны, что, как считают эксперты, войдут в один ряд с "Катриной", "Сэнди" и "Харви", ущерб от которых превысил 50 миллиардов долларов. Большая часть ущерба, в случае "Хелены" – порядка 95%, не была застрахована, что усугубляет финансовые последствия для пострадавших.
Несмотря на повышение готовности к стихийным бедствиям, которое привело к снижению смертности от штормов, "Хелена" стала исключением, поскольку привела к значительному числу погибших. Ущерб от интенсивных штормов продолжает расти, что вызвано увеличением затрат на восстановление, а также изменением климата, в результате которого штормы становятся сильнее и сопровождаются более высоким уровнем осадков.
"Экономические потери растут, потому что все больше объектов инфраструктуры и жилья оказываются на пути стихии, – заявила Сьюзан Каттер из Университета Южной Каролины агентству Associated Press. – Человеческие потери снижаются, потому что люди становятся более бдительными и уделяют внимание повышению готовности".
Национальное управление океанических и атмосферных исследований (NOAA) за последние 45 лет зарегистрировало 396 погодных катаклизмов, которые нанесли ущерб, превышающий 1 миллиард долларов с поправкой на инфляцию. Из них 63 были ураганами или тропическими штормами.
По словам экономиста Адама Смита, который возглавляет Национальный центр экологической информации NOAA, ущерб в 50 миллиардов долларов – это пороговое значение для "действительно исторических событий". Только восемь ураганов достигли этого уровня, но у "Хелены" и "Милтона" есть все шансы войти в эту группу, отметил Смит.

Ураганы, чей ущерб в США превысил $50 млрд в 1980-2023 годах
Ущерб, нанесенный "Хеленой", в основном был вызван наводнением: частные фирмы оценили застрахованные убытки в 6,4 миллиарда долларов. В случае с "Милтоном" более значительную роль сыграл ветер, а страховые убытки составили от 36 до 60 миллиардов долларов. Эксперты предупреждают, что подсчет общего ущерба может быть сложным из-за масштабного характера разрушений в разных регионах.
Существуют три категории ущерба: застрахованный, незастрахованный и общие экономические издержки. Многие страховые компании оценивают только застрахованные потери.
По оценкам страховой компании Swiss Re, в десяти самых разрушительных ураганах, не считая "Хелену" и "Милтона", застрахованный ущерб составлял 44%, то есть менее половины от всего ущерба.
Подготовил: Сергей Дага





Политика «Страны ЕС начали обсуждать статус украинцев после завершения временной защиты»
Политика «Трамп про Зеленского: "Препятствие" в заключении соглашения с Путиным, – Politico»
Мир «У Брюсселі закликали знизити градус риторики між Україною та Угорщиною»
Происшествия «Сьогодні відбувся другий і заключний етап обміну полоненими відповідно до домовленостей у Женеві»
Мир «В Венгрии задержали инкассаторов и груза "Ощадбанка": НБУ требует объяснений»
Шоу-биз «Королівський монетний двір Британії випустив колекційні монети на честь 30-річчя Spice Girls»